Connect

Find us on...

Dashboard

Login using...

Shawn Bengtson

Office Broker - DRE 01236964

  • Office 760-805-7199
Questions?

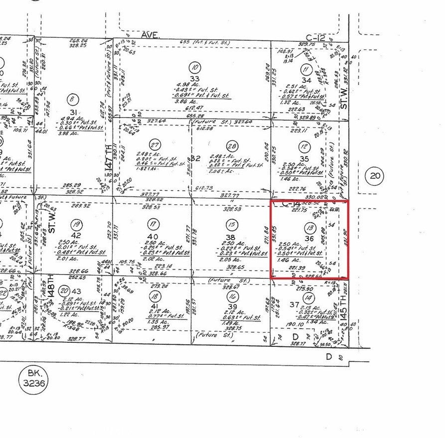
Corner W Ave C14/145th St W, Lancaster – $19,900

  • $19.9k Price
  • Acres
  • 20 DOM
  • $19.9k Price
  • Acres
  • 20 DOM

Corner W Ave C14/145th St W

Affordable land parcel in the western Antelope Valley, with a close-in location! This land parcel is believed to have access easements for future streets on 2 sides of the property, representing 145th St W and W Ave C-14 (see attached parcel map-buyer to verify). This would then allow for the future owner of this land parcel to access and utilize the land without any easements. This parcel is only 1 parcel over from Ave D/Hwy 138, and there are powerlines running along the street. This land is in a scenic area of rolling plains and ranch homes. The location is great, as it's very close to Antelope Acres and not a far drive from Lancaster. The time spent on dirt roads would be minimal. This may be a great location to camp, go off-roading, install a mobile home, build a house, store trucks, or start a small farm. This is a great opportunity to acquire a land parcel on the westside at an affordable price, and it may be a good long-term investment due to its proximity to Hwy 138 and the future streets. Don't miss out!

Essential Information

  • MLS® #SR26033422
  • Price$19,900
  • Bathrooms0.00
  • Acres2.50
  • TypeLand
  • StatusActive

Community Information

  • AddressCorner W Ave C14/145th St W
  • AreaLAC - Lancaster
  • CityLancaster
  • CountyLos Angeles
  • Zip Code93536

Amenities

  • UtilitiesWater Not Available
  • ViewMountain(s)

Exterior

Lot Description

Lot Over 40000 Sqft, Horse Property

Additional Information

  • Date ListedFebruary 12th, 2026
  • Days on Market20
  • ZoningLCA22*

Listing Details

  • AgentMark Mestepey
  • OfficeCastlestone Properties, Inc.
Please provide a valid email address.

Mark Mestepey, Castlestone Properties, Inc..

Based on information from California Regional Multiple Listing Service, Inc. as of March 5th, 2026 at 6:20pm PST. This information is for your personal, non-commercial use and may not be used for any purpose other than to identify prospective properties you may be interested in purchasing. Display of MLS data is usually deemed reliable but is NOT guaranteed accurate by the MLS. Buyers are responsible for verifying the accuracy of all information and should investigate the data themselves or retain appropriate professionals. Information from sources other than the Listing Agent may have been included in the MLS data. Unless otherwise specified in writing, Broker/Agent has not and will not verify any information obtained from other sources. The Broker/Agent providing the information contained herein may or may not have been the Listing and/or Selling Agent.