Connect

Find us on...

Dashboard

Login using...

Shawn Bengtson

Office Broker - DRE 01236964

  • Office 760-805-7199
Questions?

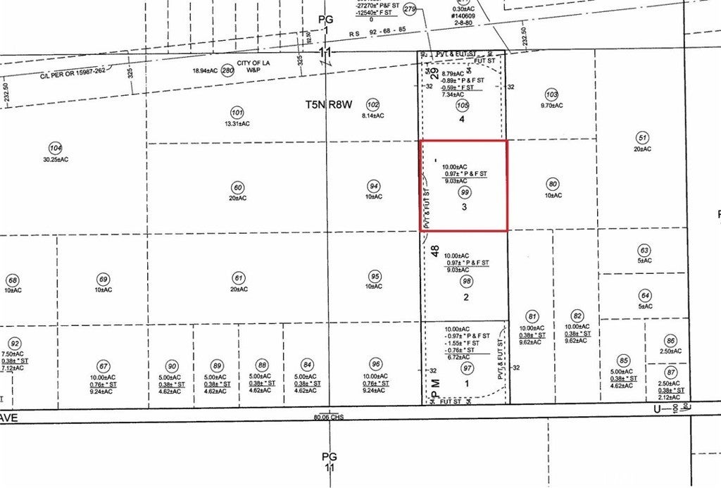
250th St E/north Of Ave U, Palmdale – $34,900

  • $34.9k Price
  • 9.8 Acres
  • 24 DOM
  • $34.9k Price
  • 9.8 Acres
  • 24 DOM

250th St E/north Of Ave U

Huge land parcel for a great price! Just under 10 acres of land in the Llano area! This parcel is not far from the Pearblossom Hwy/Palmdale Rd junction, which makes this a nice central location between Palmdale and Victorville. It's also close to Ave U, which is a major street that helps to reach Pearblossom Hwy. This parcel is very close to the Grey Butte Airport, multiple farms, and multiple wildlife preservations. Per the county parcel map (attached to listing), the west side of this parcel is designated for a future street, which is believed to be 250th St E. This would mean that easements won't be necessary to access the land. This property is a great location for someone looking for a large land parcel in LA County close to Pearblossom Hwy, while also being secluded and off the grid. This may be a great location to camp, go off-roading, install a mobile home, build a house, or start a small farm. Great long-term investment, as well. Don't miss​​‌​​​​‌​​‌‌​​‌​​​‌‌​​​​​​‌‌​‌‌​​‌​​​‌‌​ out!

Essential Information

  • MLS® #SR26035445
  • Price$34,900
  • Bathrooms0.00
  • Acres9.80
  • TypeLand
  • StatusActive

Community Information

  • Address250th St E/north Of Ave U
  • AreaPLM - Palmdale
  • CityPalmdale
  • CountyLos Angeles
  • Zip Code93591

Amenities

  • UtilitiesWater Not Available
  • ViewNone

Exterior

Lot Description

Horse Property, Lot Over 40000 Sqft

Additional Information

  • Date ListedFebruary 12th, 2026
  • Days on Market24
  • ZoningLCA12*

Listing Details

  • AgentMark Mestepey
  • OfficeCastlestone Properties, Inc.
Please provide a valid email address.

Mark Mestepey, Castlestone Properties, Inc..

Based on information from California Regional Multiple Listing Service, Inc. as of March 12th, 2026 at 7:50am PDT. This information is for your personal, non-commercial use and may not be used for any purpose other than to identify prospective properties you may be interested in purchasing. Display of MLS data is usually deemed reliable but is NOT guaranteed accurate by the MLS. Buyers are responsible for verifying the accuracy of all information and should investigate the data themselves or retain appropriate professionals. Information from sources other than the Listing Agent may have been included in the MLS data. Unless otherwise specified in writing, Broker/Agent has not and will not verify any information obtained from other sources. The Broker/Agent providing the information contained herein may or may not have been the Listing and/or Selling Agent.