Connect

Find us on...

Dashboard

Login using...

Shawn Bengtson

Office Broker - DRE 01236964

  • Office 760-805-7199
Questions?

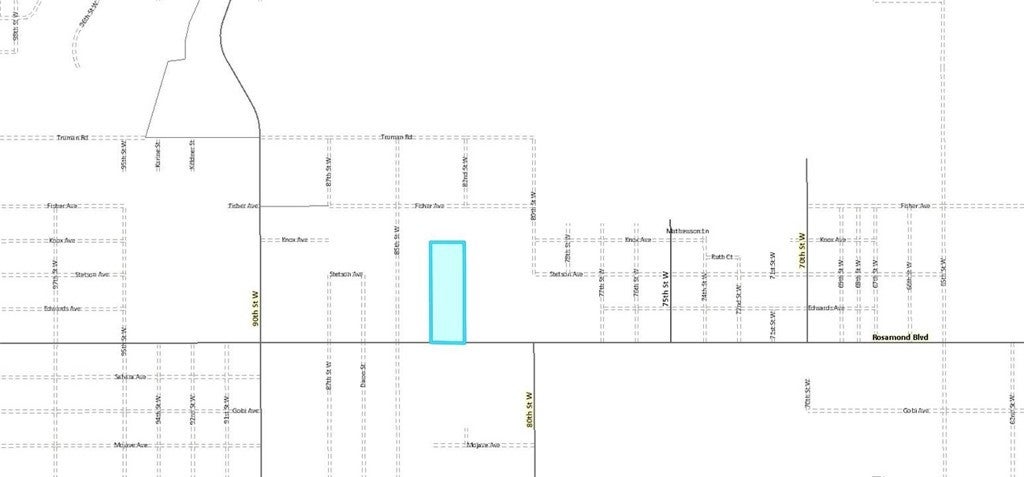
8297 W Rosamond, Rosamond – $300,000

  • $300k Price
  • 29.55 Acres
  • 28 DOM
  • $300k Price
  • 29.55 Acres
  • 28 DOM

8297 W Rosamond

Excellent 29.55 acre parcel located on paved Rosamond Blvd near Willow Springs International Raceway in Rosamond, CA. Located on Rosamond Blvd between 82nd St W and 83rd St W this parcel has electricity fronting the property. Lots of potential with this large mostly flat lot. Hold for future use, investment, or develop and use with current county zoning.

Essential Information

  • MLS® #SR26046250
  • Price$300,000
  • Bathrooms0.00
  • Acres29.55
  • TypeLand
  • StatusActive

Community Information

  • Address8297 W Rosamond
  • AreaROSA - Rosamond
  • CityRosamond
  • CountyKern
  • Zip Code93560

Amenities

Utilities

Cable Available, Electricity Available, Natural Gas Available, Phone Available, Sewer Not Available, Water Not Available

View

City Lights, Desert, Hills, Panoramic

Exterior

Lot Description

Paved, Rectangular Lot, Value In Land, Lot Over 40000 Sqft, No Landscaping

Additional Information

  • Date ListedMarch 3rd, 2026
  • Days on Market28
  • ZoningOS

Listing Details

  • AgentKristoffer Chaisson
  • OfficeRe/Max All-Pro
Please provide a valid email address.

Kristoffer Chaisson, Re/Max All-Pro.

Based on information from California Regional Multiple Listing Service, Inc. as of March 31st, 2026 at 5:30pm PDT. This information is for your personal, non-commercial use and may not be used for any purpose other than to identify prospective properties you may be interested in purchasing. Display of MLS data is usually deemed reliable but is NOT guaranteed accurate by the MLS. Buyers are responsible for verifying the accuracy of all information and should investigate the data themselves or retain appropriate professionals. Information from sources other than the Listing Agent may have been included in the MLS data. Unless otherwise specified in writing, Broker/Agent has not and will not verify any information obtained from other sources. The Broker/Agent providing the information contained herein may or may not have been the Listing and/or Selling Agent.