Connect

Find us on...

Dashboard

Login using...

Shawn Bengtson

Office Broker - DRE 01236964

  • Office 760-805-7199
Questions?

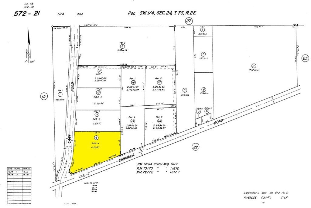
Cary Road, Anza – $57,500

  • $57.5k Price
  • Acres
  • 797 DOM
  • $57.5k Price
  • Acres
  • 797 DOM

Cary Road

Explore the endless possibilities with this expansive 4.25-acre vacant lot located at 0 Cary Rd in the scenic area of Anza, CA. With its APN 572-210-015 and GPS coordinates at Latitude 33.54404 and Longitude -116.73454, this undeveloped parcel is a treasure waiting to be discovered. Featuring road frontage on Cary Rd, the lot offers easy access and a multitude of development opportunities. Whether you're an investor looking for a solid land investment, a developer aiming to create a new community, or a dreamer planning to build a secluded retreat, this property provides the ideal backdrop for your vision. ****No soils reports, surveys, etc., have been done. Buyer and buyer's agent to verify all information with the city or county for allowable uses and requirements and rely on their own investigations. **Buyer responsible for checking zoning, utilities, permits and exact property boundaries. ****

Essential Information

  • MLS® #SW23170271
  • Price$57,500
  • Bathrooms0.00
  • Acres4.25
  • TypeLand
  • StatusActive

Community Information

  • AddressCary Road
  • CityAnza
  • CountyRiverside
  • Zip Code92539

Area

SRCAR - Southwest Riverside County

Amenities

  • UtilitiesNone
  • ViewMountain(s), Desert

Exterior

  • Lot DescriptionRectangular Lot

Additional Information

  • Date ListedSeptember 11th, 2023
  • Days on Market797
  • ZoningC-P-S

Listing Details

  • AgentSteve Welty
  • OfficeSteve Welty & Associates Inc
Please provide a valid email address.

Price Change History for Cary Road, Anza, (MLS® #SW23170271)

Date Details Change
Price Reduced from $70,000 to $57,500 $12,500 (17.86%)
Price Reduced from $83,000 to $70,000 $13,000 (15.66%)
Status Changed from Pending to Active
Status Changed from Active to Pending
Price Reduced from $89,000 to $83,000 $6,000 (6.74%)

Steve Welty, Steve Welty & Associates Inc.

Based on information from California Regional Multiple Listing Service, Inc. as of December 9th, 2025 at 4:56pm PST. This information is for your personal, non-commercial use and may not be used for any purpose other than to identify prospective properties you may be interested in purchasing. Display of MLS data is usually deemed reliable but is NOT guaranteed accurate by the MLS. Buyers are responsible for verifying the accuracy of all information and should investigate the data themselves or retain appropriate professionals. Information from sources other than the Listing Agent may have been included in the MLS data. Unless otherwise specified in writing, Broker/Agent has not and will not verify any information obtained from other sources. The Broker/Agent providing the information contained herein may or may not have been the Listing and/or Selling Agent.