Connect

Find us on...

Dashboard

Login using...

Shawn Bengtson

Office Broker - DRE 01236964

  • Office 760-805-7199
Questions?

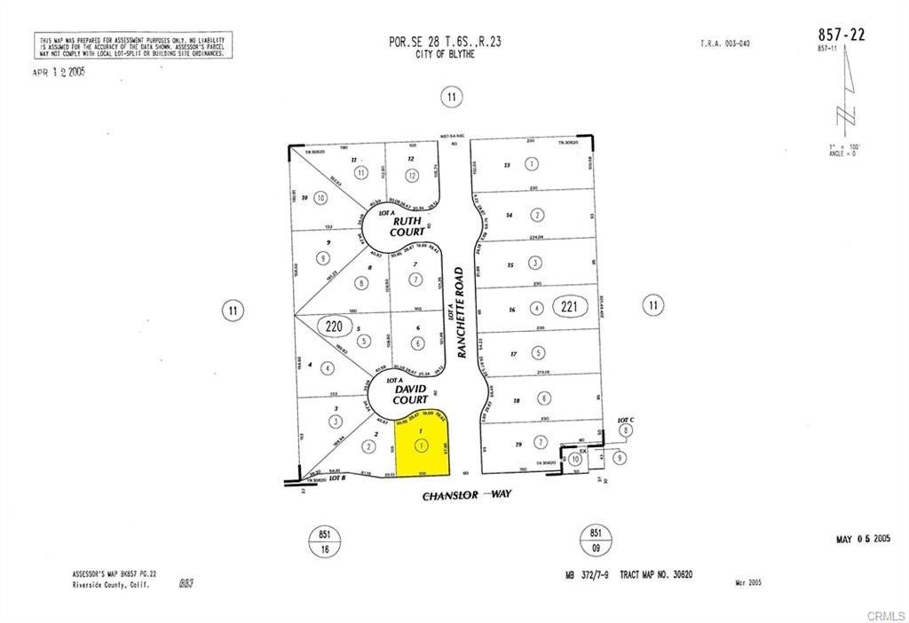
Ranchette Estates Lot #1, Blythe – $18,500

  • $18.5k Price
  • .27 Acres
  • 152 DOM
  • $18.5k Price
  • .27 Acres
  • 152 DOM

Ranchette Estates Lot #1

Explore the potential of owning a lot in Ranchette Estates with this well-sized parcel located at Lot #1 in Blythe, California. Spanning 11,761 square feet, this property—APN 857-220-001—offers ample space and a peaceful setting in zip code 92225. Whether you're planning for the future or seeking an affordable piece of land to hold, this parcel presents a solid opportunity. The adjacent lot, APN 857-220-002, is also available from the same owner at the same price. ****No soils reports, surveys, etc., have been done. Buyer and buyer's agent to verify all information with the city or county for allowable uses and requirements and rely on their own investigations. **Buyer responsible for checking zoning, utilities, permits and exact property boundaries. ****

Essential Information

  • MLS® #SW25105900
  • Price$18,500
  • Bathrooms0.00
  • Acres0.27
  • TypeLand
  • StatusActive

Community Information

  • AddressRanchette Estates Lot #1
  • Area374 - Blythe
  • SubdivisionThe Chanslor Place (37401)
  • CityBlythe
  • CountyRiverside
  • Zip Code92225

Amenities

  • UtilitiesSewer Not Available, None
  • ViewPanoramic, Neighborhood

Exterior

  • Lot DescriptionRectangular Lot

Additional Information

  • Date ListedMay 12th, 2025
  • Days on Market152
  • ZoningUNK

Listing Details

  • AgentSteve Welty
  • OfficeSteve Welty & Associates Inc
Please provide a valid email address.

Price Change History for Ranchette Estates Lot #1, Blythe, (MLS® #SW25105900)

Date Details Change
Status Changed from Pending to Active
Status Changed from Active to Pending
Price Reduced from $27,500 to $18,500 $9,000 (32.73%)

Steve Welty, Steve Welty & Associates Inc.

Based on information from California Regional Multiple Listing Service, Inc. as of December 26th, 2025 at 3:56am PST. This information is for your personal, non-commercial use and may not be used for any purpose other than to identify prospective properties you may be interested in purchasing. Display of MLS data is usually deemed reliable but is NOT guaranteed accurate by the MLS. Buyers are responsible for verifying the accuracy of all information and should investigate the data themselves or retain appropriate professionals. Information from sources other than the Listing Agent may have been included in the MLS data. Unless otherwise specified in writing, Broker/Agent has not and will not verify any information obtained from other sources. The Broker/Agent providing the information contained herein may or may not have been the Listing and/or Selling Agent.