Connect

Find us on...

Dashboard

Login using...

Shawn Bengtson

Office Broker - DRE 01236964

  • Office 760-805-7199
Questions?

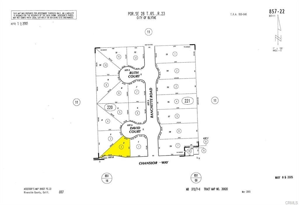
Ranchette Estates Lot #2, Blythe – $18,500

  • $18.5k Price
  • .26 Acres
  • 140 DOM
  • $18.5k Price
  • .26 Acres
  • 140 DOM

Ranchette Estates Lot #2

Here’s a great opportunity to own a piece of Ranchette Estates with this generously sized parcel located at Lot #2 in Blythe, California. Identified as parcel number 857-220-002, the lot spans 11,326 square feet, offering plenty of room for future plans. Set in the quiet surroundings of Blythe (zip code 92225), this property provides a blank slate with potential. The owner is also offering the adjacent parcel, 857-220-001, for sale at the same price. ****No soils reports, surveys, etc., have been done. Buyer and buyer's agent to verify all information with the city or county for allowable uses and requirements and rely on their own investigations. **Buyer responsible for checking zoning, utilities, permits and exact property boundaries. ****

Essential Information

  • MLS® #SW25105908
  • Price$18,500
  • Bathrooms0.00
  • Acres0.26
  • TypeLand
  • StatusActive

Community Information

  • AddressRanchette Estates Lot #2
  • Area374 - Blythe
  • SubdivisionThe Chanslor Place (37401)
  • CityBlythe
  • CountyRiverside
  • Zip Code92225

Amenities

  • UtilitiesNone, Sewer Not Available
  • ViewNeighborhood, Panoramic

Exterior

  • Lot DescriptionRectangular Lot

Additional Information

  • Date ListedMay 12th, 2025
  • Days on Market140
  • ZoningUNK

Listing Details

  • AgentSteve Welty
  • OfficeSteve Welty & Associates Inc
Please provide a valid email address.

Price Change History for Ranchette Estates Lot #2, Blythe, (MLS® #SW25105908)

Date Details Change
Status Changed from Pending to Active
Status Changed from Active to Pending
Price Reduced from $27,500 to $18,500 $9,000 (32.73%)

Steve Welty, Steve Welty & Associates Inc.

Based on information from California Regional Multiple Listing Service, Inc. as of December 28th, 2025 at 9:15am PST. This information is for your personal, non-commercial use and may not be used for any purpose other than to identify prospective properties you may be interested in purchasing. Display of MLS data is usually deemed reliable but is NOT guaranteed accurate by the MLS. Buyers are responsible for verifying the accuracy of all information and should investigate the data themselves or retain appropriate professionals. Information from sources other than the Listing Agent may have been included in the MLS data. Unless otherwise specified in writing, Broker/Agent has not and will not verify any information obtained from other sources. The Broker/Agent providing the information contained herein may or may not have been the Listing and/or Selling Agent.