Connect

Find us on...

Dashboard

Login using...

Shawn Bengtson

Office Broker - DRE 01236964

  • Office 760-805-7199
Questions?

Ave G8, Lancaster – $22,000

  • $22k Price
  • 1.27 Acres
  • 28 DOM
  • $22k Price
  • 1.27 Acres
  • 28 DOM

Ave G8

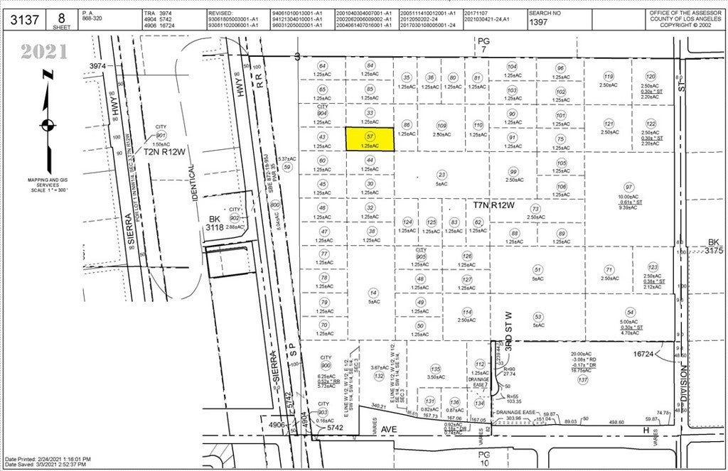
Seize the opportunity to own a substantial 1.27-acre parcel of land on Ave G8 in the expansive and scenic city of Lancaster, California. Marked by APN: 3137-008-057 and resting within the desirable 93535 zip code, this vacant lot, situated at coordinates Lat 34.72427, Long -118.13795, presents a blank slate for a variety of possibilities. As an entirely undeveloped property, it offers a rare chance for buyers to shape their vision in alignment with Los Angeles County's diverse and dynamic landscape. The unknown zoning of this lot encourages prospective buyers to envision a broad spectrum of uses, subject to county guidelines. This property not only promises vast open space but also places you within the embrace of Lancaster's natural beauty and its burgeoning development potential. Buyers are encouraged to conduct comprehensive research to explore the full potential of this unique land offering. ****No soils reports, surveys, etc., have been done. Buyer and buyer's agent to verify all information with the city or county for allowable uses and requirements and rely on their own investigations. **Buyer responsible for checking zoning, utilities, permits and exact property boundaries. ****

Essential Information

  • MLS® #SW25263058
  • Price$22,000
  • Bathrooms0.00
  • Acres1.27
  • TypeLand
  • StatusActive

Community Information

  • AddressAve G8
  • AreaLAC - Lancaster
  • CityLancaster
  • CountyLos Angeles
  • Zip Code93535

Amenities

  • UtilitiesNone
  • ViewDesert

Exterior

  • Lot DescriptionRectangular Lot

Additional Information

  • Date ListedNovember 19th, 2025
  • Days on Market28
  • ZoningUNK

Listing Details

  • AgentSteve Welty
  • OfficeSteve Welty & Associates Inc
Please provide a valid email address.

Steve Welty, Steve Welty & Associates Inc.

Based on information from California Regional Multiple Listing Service, Inc. as of December 17th, 2025 at 4:35am PST. This information is for your personal, non-commercial use and may not be used for any purpose other than to identify prospective properties you may be interested in purchasing. Display of MLS data is usually deemed reliable but is NOT guaranteed accurate by the MLS. Buyers are responsible for verifying the accuracy of all information and should investigate the data themselves or retain appropriate professionals. Information from sources other than the Listing Agent may have been included in the MLS data. Unless otherwise specified in writing, Broker/Agent has not and will not verify any information obtained from other sources. The Broker/Agent providing the information contained herein may or may not have been the Listing and/or Selling Agent.