Connect

Find us on...

Dashboard

Login using...

Shawn Bengtson

Office Broker - DRE 01236964

  • Office 760-805-7199
Questions?

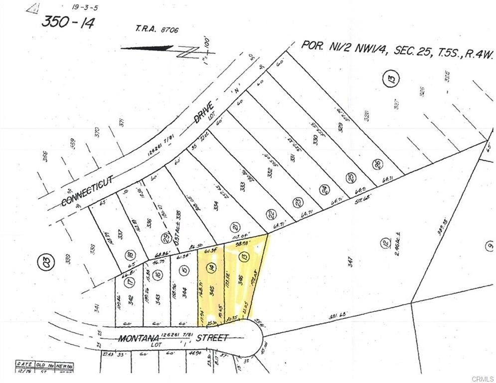
Montana, Menifee – $25,000

  • $25k Price
  • .51 Acres
  • 61 DOM
  • $25k Price
  • .51 Acres
  • 61 DOM

Montana

Rare opportunity to own two adjacent parcels totaling approximately 0.51 acres (APNs 350-140-013 & 350-140-014) in the heart of Menifee, offering endless potential for a dream home, custom estate, or future investment. Set within a peaceful, well-established neighborhood near Canyon Lake, Quail Valley, and Lake Elsinore, these raw land parcels provide the perfect balance of open space, privacy, and convenience. Whether you envision a private retreat, multi-generational compound, or long-term investment, this property offers a versatile canvas to bring your vision to life. Enjoy the charm of a semi-rural setting while remaining just minutes from shopping, schools, freeway access, and abundant outdoor recreation. Wake up to open skies and scenic surroundings, with the flexibility to design a lifestyle that suits your needs. Both parcels are offered together for an exceptional price of $25,000, presenting a compelling opportunity in a growing area. Utilities are nearby (buyer to verify), and buyers are encouraged to conduct their own due diligence regarding zoning, land use, and development requirements with the City of Menifee. Opportunities like this are increasingly rare — secure your chance to create something truly special in one of Menifee’s promising locations.

Essential Information

  • MLS® #SW26002054
  • Price$25,000
  • Bathrooms0.00
  • Acres0.51
  • TypeLand
  • StatusActive

Community Information

  • AddressMontana
  • CityMenifee
  • CountyRiverside
  • Zip Code92587

Area

SRCAR - Southwest Riverside County

Amenities

  • ViewCanyon

Exterior

  • Lot DescriptionZeroToOneUnitAcre

Additional Information

  • Date ListedJanuary 5th, 2026
  • Days on Market61
  • Zoning1

Listing Details

  • AgentJessica Davis
  • OfficeElevate Real Estate Agency
Please provide a valid email address.

Jessica Davis, Elevate Real Estate Agency.

Based on information from California Regional Multiple Listing Service, Inc. as of March 7th, 2026 at 11:56pm PST. This information is for your personal, non-commercial use and may not be used for any purpose other than to identify prospective properties you may be interested in purchasing. Display of MLS data is usually deemed reliable but is NOT guaranteed accurate by the MLS. Buyers are responsible for verifying the accuracy of all information and should investigate the data themselves or retain appropriate professionals. Information from sources other than the Listing Agent may have been included in the MLS data. Unless otherwise specified in writing, Broker/Agent has not and will not verify any information obtained from other sources. The Broker/Agent providing the information contained herein may or may not have been the Listing and/or Selling Agent.