Connect

Find us on...

Dashboard

Login using...

Shawn Bengtson

Office Broker - DRE 01236964

  • Office 760-805-7199
Questions?

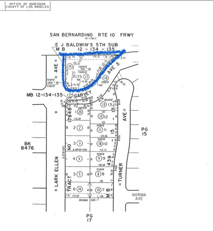
1401 E Garvey Avenue S, West Covina – $595,000

  • $595k Price
  • .53 Acres
  • 223 DOM
  • $595k Price
  • .53 Acres
  • 223 DOM

1401 E Garvey Avenue S

Exceptional Development Opportunity! This expansive 23,170 sqft land parcel (APNs: 8477016019 with 17,645sqft and 8477016018 with 5,527sqft) is strategically located in West Covina, at the intersection of S Lark Ellen Ave and E Garvey Ave South, close to Fwy 10. Currently zoned for Commercial, Industrial, and Office Professional Mixed-Use, this property offers vast potential for investment, builders, or developers. (City confirmed that the property can be 15% used for commercial and the rest for residential use.) Subject to zone change and city planning approval- Opportunity for mixed-use development. Key Features: Prime location with proximity to stores, restaurants, and Fwy 10- Potential for subdivision, Important Notes: All information is deemed reliable but not guaranteed- Buyers are advised to conduct due diligence to determine development standards and other pertinent information

Essential Information

  • MLS® #WS25088391
  • Price$595,000
  • Bathrooms0.00
  • Acres0.53
  • TypeLand
  • StatusActive

Community Information

  • Address1401 E Garvey Avenue S
  • Area669 - West Covina
  • CityWest Covina
  • CountyLos Angeles
  • Zip Code91790

Amenities

  • ViewNone

Exterior

  • Lot DescriptionCorner Lot

Additional Information

  • Date ListedApril 21st, 2025
  • Days on Market223
  • ZoningWCOC*//OPMU

Listing Details

  • AgentMay Lau
  • OfficePinnacle Real Estate Group
Please provide a valid email address.

May Lau, Pinnacle Real Estate Group.

Based on information from California Regional Multiple Listing Service, Inc. as of December 1st, 2025 at 3:41pm PST. This information is for your personal, non-commercial use and may not be used for any purpose other than to identify prospective properties you may be interested in purchasing. Display of MLS data is usually deemed reliable but is NOT guaranteed accurate by the MLS. Buyers are responsible for verifying the accuracy of all information and should investigate the data themselves or retain appropriate professionals. Information from sources other than the Listing Agent may have been included in the MLS data. Unless otherwise specified in writing, Broker/Agent has not and will not verify any information obtained from other sources. The Broker/Agent providing the information contained herein may or may not have been the Listing and/or Selling Agent.