Connect

Find us on...

Dashboard

Login using...

New Search X

Warning: implode(): Invalid arguments passed in /var/www/vhosts/shorelinesd.com/app/httpdocs/idx/inc/php/pages/search.php on line 351
99,566 Properties Found. (Refine search to less than 500 results to save) Showing Page 6,089 of 8,298
Map
Sort listings by:Price, Highest First

Marie Avenue, Rosamond - $15,000

5 Acres Of Level Land Just East Of Sierra Hwy In Rosamond. Great Investment Opportunity. Future Residential Or Commercial Development. Great For Weekend Getaways, Camping, Atv's, Rv's. Nearby Red Rock Cyn And Eastern Sierras.

Land & Real Estate Investments

7801 West Avenue C, Antelope Acres - $15,000

Best Priced Antelope Acres Lot. Just East Of 80th St W On Avenue C Water And Power To The Corner Of 80th Stw And Avenue C. This Is 2.5 Level Acres With Dedicated Street Access. Antelope Acres Is A Wonderful Rural Community In The West Antelope Va...

Land & Real Estate Investments

4621914 Adelanto, Adelanto - $15,000

5 Acres Zoned Residential Vacant Land Ready For Your Vision. Land Parcel Identified By Apn:0462-191-47-0000. No Situs Address Assigned By County; Address Shown Is For Mls Input Only. Gps Coordinates: 34.723096, -117.558596. Buyer To Verify Zoning,...

Keller Williams Realty Chico Area

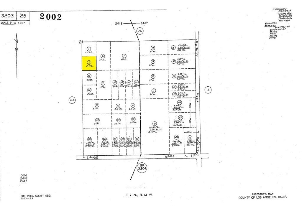
70th St W, Del Sur - $15,000

This 2.52-acre Parcel Near 70th Street West In Del Sur (lancaster) Offers A Distinctly Rural Setting With Wide-open Space, Privacy, And Expansive Desert And Mountain Views. Located In A Quiet Westside Rural Area, The Property Provides A True Count...

Steve Welty & Associates Inc

Ryan Ave, Lake Elsinore - $15,000

Great Investment Lots In The Country Club Heights Area. Buyer And Buyers Agent To Satisfy Themselves As To Usage, Square Footage And Utilities. This Parcel Is Locate Din A Dirt Road.

Farnam & Associates Real Estate

Photo of Listing #CV26008580

Lupine, 29 Palms - $15,000

Reduced From $17,000 To $15,000 On 01/14/2026. Mazing View Building Lot! South Of Hwy 62 With Close Proximity To Joshua Tree National Park.apn 0615-073-17 Is Near The Old Dale Intersection. Go Walk It, And Admire The Views. Paved Road, Water Is ...

CURRY REALTORS

8754 Arlene Terrace, Los Angeles - $15,000

Residential Lease, Single Family Residence
  • 3 Beds
  • 3 Baths
  • 2,338 SQFT
  • 50 DOM
View details More Photos Save

Tucked Away On A Quiet Cul-de-sac In Prime Laurel Canyon, This Gated 1930s Spanish Gem Is The Epitome Of Charm And Privacy. Recently Renovated, It Beautifully Blends Original Period Details With Modern Finishes. Walls Of Glass Open To Expansive De...

Private Beverly Hills

Cabazon Road, Barstow - $15,000

Excellent Investment Opportunity To Own 2.4 Acres Of Vacant Land In The Growing High Desert Community Of Barstow. Located On Cabazon Road Between Apple Valley And Barstow, This Parcel Offers Wide Open Space, Scenic Desert And Mountain Views, And E...

First Team Real Estate

Photo of Listing #CV26008632

Siesta, 29 Palms - $15,000

Reduced From $21,000 To $15,000 On 01/14/2026. Huge 80x138 Corner Lot = 11,475 Sq Ft. Apn 0612-281-20 At The N/w Corner Of Lupine And Siesta. Great Lot To Build A Single Family House Facing Lupine, And A Adu Facing Siesta. Each Home Can Have Compl...

CURRY REALTORS

10660 Wilshire Boulevard # 501, Los Angeles - $15,000

Residential Lease, Condominium
  • 3 Beds
  • 5 Baths
  • 2,608 SQFT
  • 38 DOM
View details More Photos Save

This Full-service High-rise Is Located In One Of The Most Coveted Locations

Elite Properties Realty

499 Nyes Place, Laguna Beach - $15,000

Residential Lease, Single Family Residence
  • 4 Beds
  • 4 Baths
  • 2,762 SQFT
  • 36 DOM
View details More Photos Save

Available As Of May 1, 2026. Discover Unparalleled Coastal Living At The Fully Furnished Sea Esta Laguna Beach House, A Magnificent Ocean View 4-bedroom, 3.5-bath Detached Single-family Residence Offering 2,762 Sq. Ft. Of Meticulously Updated, Mod...

Berkshire Hathaway HomeServices California Properties

Based on information from California Regional Multiple Listing Service, Inc. as of March 4th, 2026 at 4:21pm PST. This information is for your personal, non-commercial use and may not be used for any purpose other than to identify prospective properties you may be interested in purchasing. Display of MLS data is usually deemed reliable but is NOT guaranteed accurate by the MLS. Buyers are responsible for verifying the accuracy of all information and should investigate the data themselves or retain appropriate professionals. Information from sources other than the Listing Agent may have been included in the MLS data. Unless otherwise specified in writing, Broker/Agent has not and will not verify any information obtained from other sources. The Broker/Agent providing the information contained herein may or may not have been the Listing and/or Selling Agent.