Connect

Find us on...

Dashboard

Login using...

Shawn Bengtson

Office Broker - DRE 01236964

  • Office 760-805-7199
Questions?

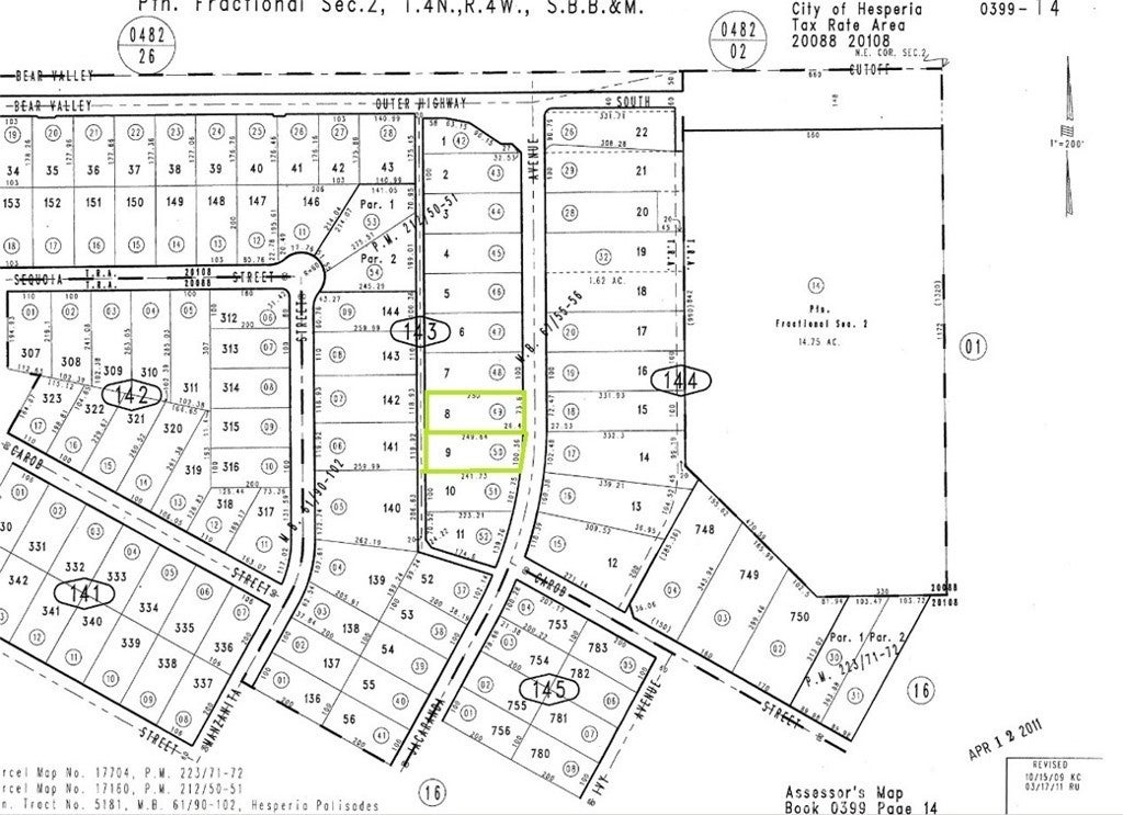
39914350 49 Jacaranda Avenue, Hesperia – $148,000

  • $148k Price
  • 1.14 Acres
  • 1001 DOM
  • $148k Price
  • 1.14 Acres
  • 1001 DOM

39914350 49 Jacaranda Avenue

***Come VIEW and MAKE an OFFER TODAY! Incredible COMMERCIAL LAND opportunity in the ever expanding city of Hesperia CA. TWO ADJACENT PARCELS for sale as a package totaling 1.136 ACRES (SEE APNs 0399-143-49 & 50). Located on Jacaranda Ave the parcels are less than one block from one of the busiest intersections in the High Desert on Bear Valley Rd. Very close to existing commercial development and within walking distance to Victor Valley Community College the site sees a ton of traffic everyday. Not to mention utilities are running adjacent to the site making this a must see opportunity before it's too late.***

Essential Information

  • MLS® #HD23048324
  • Price$148,000
  • Bathrooms0.00
  • Acres1.14
  • TypeLand
  • StatusActive

Community Information

  • Address39914350 49 Jacaranda Avenue
  • AreaHSP - Hesperia
  • CityHesperia
  • CountySan Bernardino
  • Zip Code92345

Amenities

  • ViewDesert

Utilities

Electricity Available, Natural Gas Available, Phone Available, Underground Utilities, Water Available, Sewer Not Available

Exterior

  • Lot DescriptionPaved, Level

Additional Information

  • Date ListedMarch 23rd, 2023
  • Days on Market1001
  • ZoningCommercial

Listing Details

  • AgentJeffrey Nyal
  • OfficeColdwell Banker Home Source
Please provide a valid email address.

Price Change History for 39914350 49 Jacaranda Avenue, Hesperia, (MLS® #HD23048324)

Date Details Change
Price Reduced from $174,990 to $148,000 $26,990 (15.42%)
Price Reduced from $195,000 to $174,990 $20,010 (10.26%)

Jeffrey Nyal, Coldwell Banker Home Source.

Based on information from California Regional Multiple Listing Service, Inc. as of December 19th, 2025 at 8:55am PST. This information is for your personal, non-commercial use and may not be used for any purpose other than to identify prospective properties you may be interested in purchasing. Display of MLS data is usually deemed reliable but is NOT guaranteed accurate by the MLS. Buyers are responsible for verifying the accuracy of all information and should investigate the data themselves or retain appropriate professionals. Information from sources other than the Listing Agent may have been included in the MLS data. Unless otherwise specified in writing, Broker/Agent has not and will not verify any information obtained from other sources. The Broker/Agent providing the information contained herein may or may not have been the Listing and/or Selling Agent.