Connect

Find us on...

Dashboard

Login using...

Shawn Bengtson

Office Broker - DRE 01236964

  • Office 760-805-7199
Questions?

56646 Antelope Trail, Yucca Valley – $89,500

  • $89.5k Price
  • .33 Acres
  • 129 DOM
  • $89.5k Price
  • .33 Acres
  • 129 DOM

56646 Antelope Trail

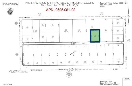
0.33 Acres (APN: 0595-081-08) GPS: 34.121611, -116.42818 This lot is located in Yucca Valley, CA. The city of Yucca Valley has zoned the property as General Commercial (C-G). This property did once have a structure, but no longer. Some residential, daycare, garden supply, feed store, retail, office, or coffee shop may be permitted with a CUP. Buyers should reach out to the Town of Yucca Valley planning department for information on permitting requirements and commercial uses. Hi-Desert Water District provides water for the neighborhood, according to the district a Water Meter is present to service the property. Overhead electricity is across the street. While the boundary lines on the map offer a glimpse, they are only approximate. A Buyer should verify boundaries, zoning and utilities, ensuring every aspect aligns with their vision for the property. *Address says Antelope Trail but property is on Rabbit Trail.

Essential Information

  • MLS® #HD25223548
  • Price$89,500
  • Bathrooms0.00
  • Acres0.33
  • TypeLand
  • StatusActive

Community Information

  • Address56646 Antelope Trail
  • AreaDC542 - Downtown North
  • CityYucca Valley
  • CountySan Bernardino
  • Zip Code92284

Amenities

  • ViewDesert, Mountain(s), Valley

Utilities

Electricity Available, Water Connected

Exterior

  • Lot DescriptionLevel

Additional Information

  • Date ListedSeptember 16th, 2024
  • Days on Market129
  • ZoningC-G

Listing Details

  • AgentKristen Maley
  • OfficeLandcore Realty
Please provide a valid email address.

Kristen Maley, Landcore Realty.

Based on information from California Regional Multiple Listing Service, Inc. as of January 30th, 2026 at 12:20pm PST. This information is for your personal, non-commercial use and may not be used for any purpose other than to identify prospective properties you may be interested in purchasing. Display of MLS data is usually deemed reliable but is NOT guaranteed accurate by the MLS. Buyers are responsible for verifying the accuracy of all information and should investigate the data themselves or retain appropriate professionals. Information from sources other than the Listing Agent may have been included in the MLS data. Unless otherwise specified in writing, Broker/Agent has not and will not verify any information obtained from other sources. The Broker/Agent providing the information contained herein may or may not have been the Listing and/or Selling Agent.