Connect

Find us on...

Dashboard

Login using...

Shawn Bengtson

Office Broker - DRE 01236964

  • Office 760-805-7199
Questions?

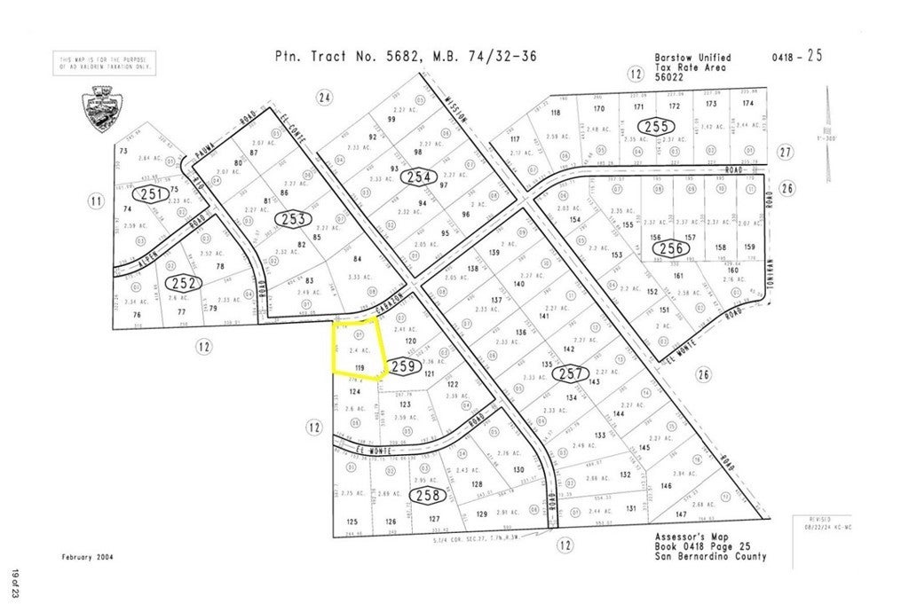
Cabazon Road, Barstow – $15,000

  • $15k Price
  • 2.4 Acres
  • 20 DOM
  • $15k Price
  • 2.4 Acres
  • 20 DOM

Cabazon Road

Excellent investment opportunity to own 2.4 acres of vacant land in the growing High Desert community of Barstow. Located on Cabazon Road between Apple Valley and Barstow, this parcel offers wide open space, scenic desert and mountain views, and endless potential for future development, recreational use, or long-term investment. The property is situated in an unincorporated area of San Bernardino County and falls within the Barstow Unified School District. The surrounding area features several manufactured homes, making this parcel a great option for buyers looking to build, place a manufactured home (buyer to verify), or hold land in an area experiencing steady growth. Enjoy fresh air, open skies, and the peaceful feel of desert living. Ideal for outdoor enthusiasts—bring your off-road toys, camp on your own land, or create your private desert retreat. Conveniently located with access to major highways, shopping, schools, and local amenities, while still offering privacy and space. APN #0418-259-01. Buyer to verify zoning, utilities, land use, and all aspects of the property with the County of San Bernardino.

Essential Information

  • MLS® #PW26009431
  • Price$15,000
  • Bathrooms0.00
  • Acres2.40
  • TypeLand
  • StatusActive

Community Information

  • AddressCabazon Road
  • AreaBSTW - Barstow
  • CityBarstow
  • CountySan Bernardino
  • Zip Code92307

Amenities

  • UtilitiesNone
  • ViewHills, Mountain(s)

Exterior

  • Lot DescriptionTwoToFiveUnitsAcre

Additional Information

  • Date ListedJanuary 13th, 2026
  • Days on Market20
  • ZoningRC

Listing Details

  • AgentJesus Morales
  • OfficeFirst Team Real Estate
Please provide a valid email address.

Jesus Morales, First Team Real Estate.

Based on information from California Regional Multiple Listing Service, Inc. as of February 3rd, 2026 at 8:56am PST. This information is for your personal, non-commercial use and may not be used for any purpose other than to identify prospective properties you may be interested in purchasing. Display of MLS data is usually deemed reliable but is NOT guaranteed accurate by the MLS. Buyers are responsible for verifying the accuracy of all information and should investigate the data themselves or retain appropriate professionals. Information from sources other than the Listing Agent may have been included in the MLS data. Unless otherwise specified in writing, Broker/Agent has not and will not verify any information obtained from other sources. The Broker/Agent providing the information contained herein may or may not have been the Listing and/or Selling Agent.