Connect

Find us on...

Dashboard

Login using...

Shawn Bengtson

Office Broker - DRE 01236964

  • Office 760-805-7199
Questions?

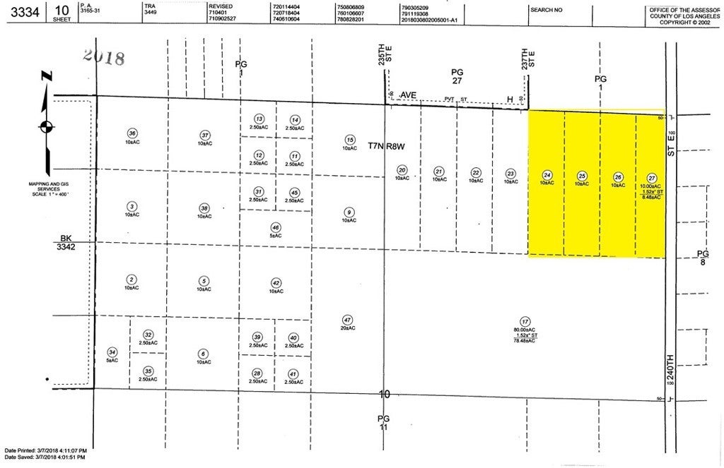
Avenue H, Lancaster – $69,000

  • $69k Price
  • 10.37 Acres
  • 179 DOM
  • $69k Price
  • 10.37 Acres
  • 179 DOM

Avenue H

Secluded 40 acres vacant land. Four (4) 10 acre parcels can be developed as one or seperately. Perfect for multi family ownership, land banking.

Essential Information

  • MLS® #SR25143025
  • Price$69,000
  • Bathrooms0.00
  • Acres10.37
  • TypeLand
  • StatusActive

Community Information

  • AddressAvenue H
  • AreaLAC - Lancaster
  • CityLancaster
  • CountyLos Angeles
  • Zip Code93535

Amenities

  • ViewDesert

Utilities

None, Sewer Not Available, Water Not Available

Exterior

Lot Description

Agricultural, Desert Back, Desert Front, Horse Property, Lot Over 40000 Sqft, No Landscaping, Rectangular Lot, Street Level, Value In Land, Level

Additional Information

  • Date ListedJune 25th, 2025
  • Days on Market179
  • ZoningLCA11*

Listing Details

  • AgentAnn Trussell
  • OfficeHomeBased Realty
Please provide a valid email address.

Ann Trussell, HomeBased Realty.

Based on information from California Regional Multiple Listing Service, Inc. as of December 23rd, 2025 at 4:35pm PST. This information is for your personal, non-commercial use and may not be used for any purpose other than to identify prospective properties you may be interested in purchasing. Display of MLS data is usually deemed reliable but is NOT guaranteed accurate by the MLS. Buyers are responsible for verifying the accuracy of all information and should investigate the data themselves or retain appropriate professionals. Information from sources other than the Listing Agent may have been included in the MLS data. Unless otherwise specified in writing, Broker/Agent has not and will not verify any information obtained from other sources. The Broker/Agent providing the information contained herein may or may not have been the Listing and/or Selling Agent.