Connect

Find us on...

Dashboard

Login using...

Shawn Bengtson

Office Broker - DRE 01236964

  • Office 760-805-7199
Questions?

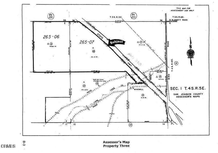
36565 S Bird Road, Tracy – $5,000,000

  • $5M Price
  • 251 Acres
  • 117 DOM
  • $5M Price
  • 251 Acres
  • 117 DOM

36565 S Bird Road

Incredible opportunity!!! 251 Acres of Agricultural Land in Prime Location. Property features a domestic well, agriculture well. Mineral right makes this property extremely valuable. Conveniently located next to I-580, I-5 and HWY 132 in Tracy, CA Just south of Tracy Golf & Country Club. Approx 30 Miles from Modesto, 35 miles from San Jose, 20 miles from Stockton and 60 miles form San Francisco. Future Possiblities are endless! APN265-060-03 (120 acres and APN 265-070-12( 131 acres) ( 67735 S Bird Rd) Buyer to verify all potential uses. low taxes under Willamson Act. Owner financing available. Submit all offers.

Essential Information

  • MLS® #V1-31291
  • Price$5,000,000
  • Bathrooms0.00
  • Acres251.00
  • TypeLand
  • StatusActive

Community Information

  • Address36565 S Bird Road
  • SubdivisionNot Applicable
  • CityTracy
  • CountySan Joaquin
  • Zip Code95377

Amenities

  • UtilitiesNone
  • ViewMountain(s)

Exterior

  • Lot DescriptionSprinklers None

Additional Information

  • Date ListedJuly 22nd, 2025
  • Days on Market117
  • ZoningAG-160

Listing Details

  • AgentLinda Pore
  • OfficeTruth Realty
Please provide a valid email address.

Price Change History for 36565 S Bird Road, Tracy, (MLS® #V1-31291)

Date Details Change
Price Increased from $5,000 to $5,000,000 $4,995,000 (99,900.00%)

Linda Pore, Truth Realty.

Based on information from California Regional Multiple Listing Service, Inc. as of November 17th, 2025 at 7:11am PST. This information is for your personal, non-commercial use and may not be used for any purpose other than to identify prospective properties you may be interested in purchasing. Display of MLS data is usually deemed reliable but is NOT guaranteed accurate by the MLS. Buyers are responsible for verifying the accuracy of all information and should investigate the data themselves or retain appropriate professionals. Information from sources other than the Listing Agent may have been included in the MLS data. Unless otherwise specified in writing, Broker/Agent has not and will not verify any information obtained from other sources. The Broker/Agent providing the information contained herein may or may not have been the Listing and/or Selling Agent.